




Va oferim spre vanzare acest teren situat in Sabareni - Giurgiu, cu acces imediat catre Ilfov, Bucuresti, Autostrada A 0, A1, Joita, Bacu, Chitila.
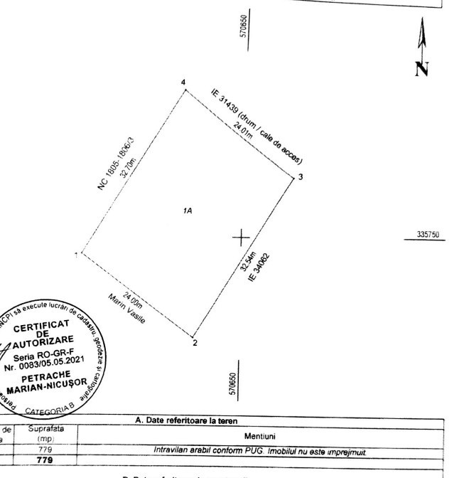
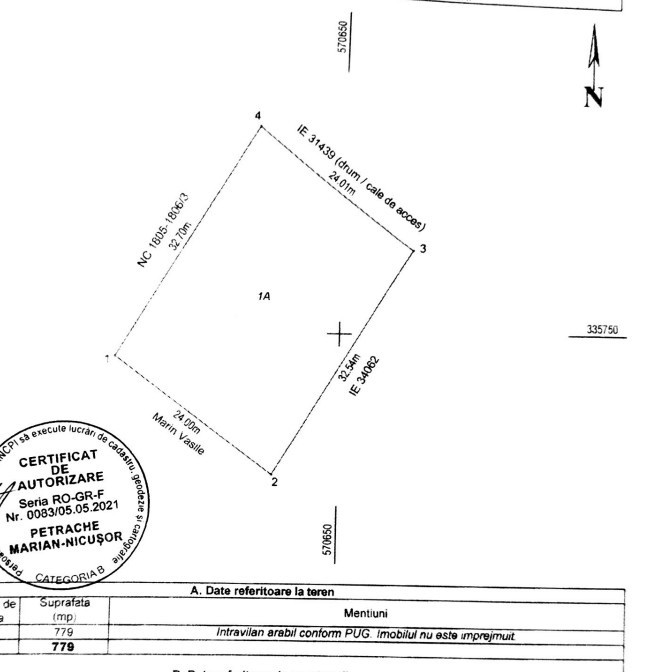
Terenul este intravilan, are o suprafata de 779 mp, cu 24 ml deschidere la Strada si 32 ml Adancime.
Este ideal pentru cine isi doreste sa construiasca o casa sau pentru investitie-zona este in plina dezvoltare.
Pentru detalii si vizionari nu ezitati sa ma contactati!